When a Cat Rubs Against You: What It Really Means

When a cat rubs against you, it’s far more than a simple gesture of affection — it’s a form of communication. Cats have scent glands located on their cheeks, chin,… Read more

Tiger gives birth to a lifeless cub only to have caretakers astonished when her mothers instincts kick in!

A year ago, during a casual office Secret Santa, a colleague named Sarah handed me a small velvet pouch tied with a silver ribbon. I’d always liked Sarah — quiet,… Read more

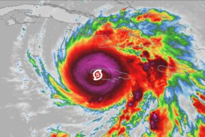
BREAKING NEWS Large Hurricane MELISSA CATEGORY 5 forming… See more

As we reported earlier, Melissa ranks as the most powerful hurricane ever to make a direct strike on Jamaica. Across the broader Atlantic, however, Melissa stood out for several extraordinary… Read more

Our dear daughter d!es at the age of 20, a victim of an est..

Our beloved daughter has left this world at the tender age of 20, leaving a void so vast that no words can ever truly capture the depth of our grief.… Read more

You just knew this was coming… Check comments

The smoke above the Vatican is white. On Thursday evening local time, Robert Francis Prevost, 69, was elected as the new Pope. He took the name Leo XIV, the first… Read more

Police are urging everyone to stay away from this area Full story below

Police are urging everyone to stay away from this area Full story below Early Thursday morning, Corewell Health Beaumont Troy Hospital, located 24 miles north of Detroit, was thrust into… Read more

Why Listening Matters More Than Assumptions

I cut off my twin sister at 29 after catching her kissing my fiancé. Ten years of silence followed — ten years of hurt, anger, and stubborn pride. When she… Read more

The Call That Proved Love Is More Valuable Than Luxury

Lucas was enjoying a peaceful afternoon at the community club when his phone rang. It was his wife, Mia, sounding cheerful. She explained she was at the mall and had… Read more

Why Every Couple Needs Their Own Space and Clear Limits

When my husband casually handed his mother a copy of our house key, I felt a rush of discomfort. I loved that he cared for her, but I believed our… Read more

The Truth Behind My Baby’s Green Eyes

My baby was born with green eyes, but no one else in our family has the same eye color. My MIL and my husband’s other family members kept commenting on… Read more